IdentiQuiz!!!
10 messaggi
• Pagina 1 di 1
IdentiQuiz!!!
Piccolo quiz identificativo che vorrei proporvi.
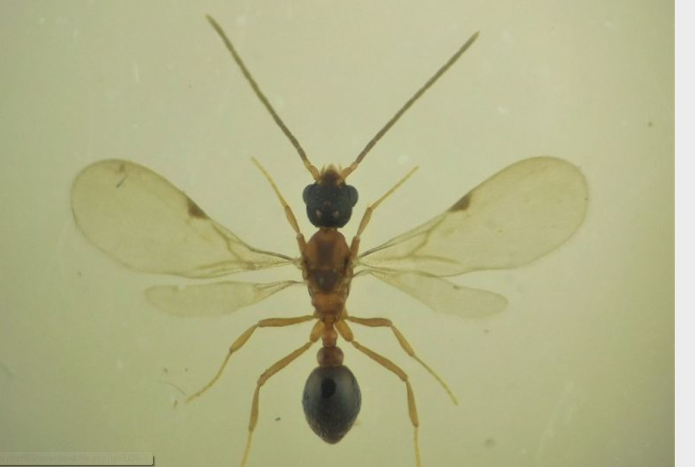
Davvero difficile! Vediamo chi ci arriva per primo. Esemplare che mi è stato sottoposto da Michele Violi, foto sue. Io ci ho messo un po'...
Montecchio Emilia (RE), torrente Enza. VII-2014. M. Violi leg.
Davvero difficile! Vediamo chi ci arriva per primo. Esemplare che mi è stato sottoposto da Michele Violi, foto sue. Io ci ho messo un po'...
Montecchio Emilia (RE), torrente Enza. VII-2014. M. Violi leg.
-

winny88 
- Messaggi: 9044
- Iscritto il: 23 giu '12
- Località: Napoli Vesuvio
Re: IdentiQuiz!!!
Nessun parere?
-

winny88 
- Messaggi: 9044
- Iscritto il: 23 giu '12
- Località: Napoli Vesuvio
Re: IdentiQuiz!!!
No! Proviamo ancora...
-

winny88 
- Messaggi: 9044
- Iscritto il: 23 giu '12
- Località: Napoli Vesuvio
Re: IdentiQuiz!!!
PS: Leptothorax no perché i maschi hanno 12 antennomeri, questo ne ha 13; ma Temnothorax era un'ottima supposizione. Un Temnothorax tra nigriceps e tuberum era stato uno dei miei primi sospetti, ma poi sono andato a controllare le descrizioni dei maschi e non sono bicolorati, ma uniformemente bruni/neri.
-

winny88 
- Messaggi: 9044
- Iscritto il: 23 giu '12
- Località: Napoli Vesuvio
Re: IdentiQuiz!!!
No, bisogna allontanarsi un po' da Temnothorax.
Piccolo aiuto: questi maschi sono delle apomorfie viventi incredibili della loro specie!
Piccolo aiuto: questi maschi sono delle apomorfie viventi incredibili della loro specie!
-

winny88 
- Messaggi: 9044
- Iscritto il: 23 giu '12
- Località: Napoli Vesuvio
Re: IdentiQuiz!!!
No, ma hai buttato l'occhio su uno dei particolari più rilevanti per arrivarci!
-

winny88 
- Messaggi: 9044
- Iscritto il: 23 giu '12
- Località: Napoli Vesuvio
Re: IdentiQuiz!!!
Scegli un colore tra rosso, giallo, verde e blu.
-

winny88 
- Messaggi: 9044
- Iscritto il: 23 giu '12
- Località: Napoli Vesuvio
Re: IdentiQuiz!!!
Mi aspettavo VERDE, ne ero quasi sicuro, ma va bene lo stesso...
50 PUNTI A GRIFONDORO!!!
50 PUNTI A GRIFONDORO!!!
-

winny88 
- Messaggi: 9044
- Iscritto il: 23 giu '12
- Località: Napoli Vesuvio
Re: IdentiQuiz!!!
Spoiler: mostra
-

winny88 
- Messaggi: 9044
- Iscritto il: 23 giu '12
- Località: Napoli Vesuvio
Re: IdentiQuiz!!!
Commovente davvero! Mi aspettavo verde perché hai il talento, il carattere e l'attitudine di un Serpeverde. Ma queste sono solo capacità... Fatto sta che hai SCELTO Grifondoro!
A. Silente ha scritto:Hai notato delle similitudini tra te e il giovane Tom Riddle. E allora dimmi, Harry... Perché il Cappello Parlante ti ha assegnato a Grifondoro?
H. Potter ha scritto:Perché gliel'ho chiesto io, signore!
A. Silente ha scritto:Esatto, Harry, Esatto!!! Sono le nostre scelte a dire chi siamo, non le nostre capacità!
-

winny88 
- Messaggi: 9044
- Iscritto il: 23 giu '12
- Località: Napoli Vesuvio
10 messaggi
• Pagina 1 di 1
Chi c’è in linea
Visitano il forum: Nessuno e 22 ospiti